agente de finca raiz
¡Lo mejor de dos mundos: disfrutar a plenitud de la naturaleza y estar a solo cinco minutos del municipio de San Gil…!
Venta Finca en San Gil Santander
Hermosa finca Villa Silvia en venta a solo 3km del municipio de San Gil.sobre la carretera a Bucaramanga, 100 metros arriba del hotel DAVILEJAS.

Fotos de Finca en San Gil para la venta
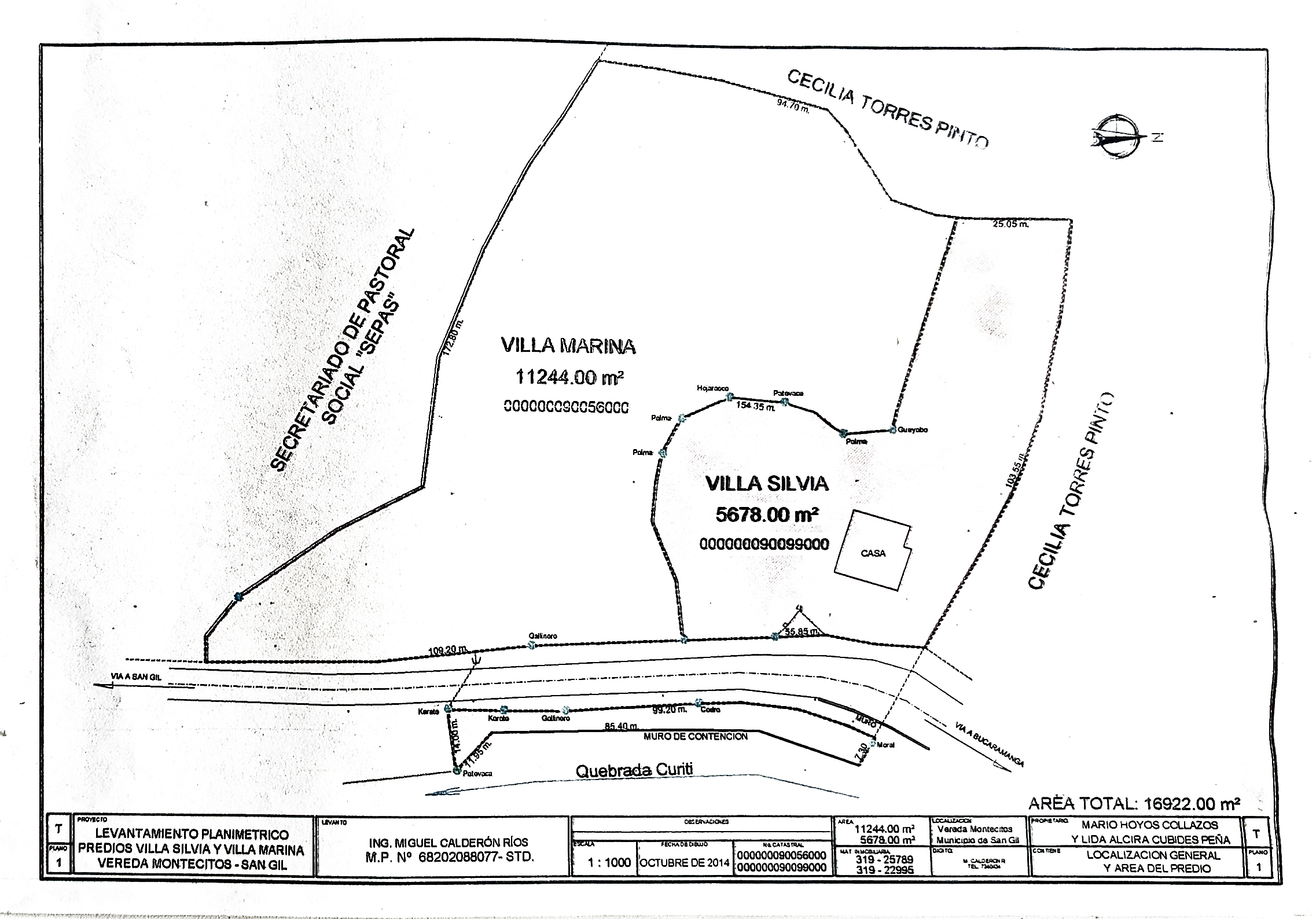
Croquis del terreno rural en venta

El predio rural en venta está compuesto por dos fincas: Villa Marina y Villa Silvia. Cada una tiene su entrada, pero en la actualidad solo esta habilitada la de la finca Villa Silvia.
Es posible vender por separado cada una de las fincas o hacerlo en una sola transaccion. Como lo indica el dibujo, Villa Marina tiene 11.244 metros cuadrados. Villa Silvia tiene solo 5.678, pero la casa principal esta dentro de su predio.
Ambas fincas están ubicadas sobre la carretera principal San Gil-Bucaramanga, a solo tres kilómetros del municipio de San Gil. La quebrada Curiti está a solo unos cinco metros de la entrada a la finca.
Ubicaciòn estratègica de la finca en la Provincia de Guanentà
San Gil puede ser el epicentro para conocer toda la provincia de Guanentà, por lo cual se considera como un oportunidad de oro para explotar turìsticamente esta hermosa regiòn santandereana. Se podrìa decir que San Gil està cerca de todo, desde Curitì a solo 12km hasta Barichara a unos 45 minutos en auto.



